30 000 €8 920 m²

Kaipiaistentie 28, Kaipiainen, Kouvola

Velaton hinta
30 000 €
Tontin pinta-ala
8 920 m²
Kaupunginosa
Kaipiainen
Kaupunki
Kouvola

8920 m2 tontti, jolla on runsaasti rakennusoikeutta ja pittoreski pihapiiri puurakennuksineen

Myydään Kouvolan Kaipiaisten kylällä valoisa, avara, historiaa huokuva ja mielenkiintoisia mahdollisuuksia tarjoava tontti. Tontti on hyvällä sijainnilla vanhan Lappeenrannan tien varrella, valtakunnallisesti merkittäviin kulttuuriympäristöihin kuuluvan asemanseudun koillispuolella. Alue on tunnetusti lämmintä seutua ja tontilla on miellyttävä pienilmasto. Muutaman sadan metrin päässä kulkeva rautatie silloin tällöin ohi kolistelevine junineen luo rauhalliselle alueelle oman, erityisen tunnelmansa.

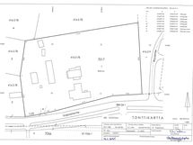
Tunnelmallinen pihapiiri vanhoine rakennuksineen on toteutettu useassa eri vaiheessa. Tontti on ollut saman suvun hallinnassa 1800-luvun loppupuolelta asti. Rakennusten vanhimmat osat ovat 1880-luvulta, uusimmat 1950-luvun lopulta. Asuinrakennukset ovat keskeisiltä osiltaan hirsirunkoisia. Tontilla on asuttu ympärivuotisesti viimeksi 1960-luvulla. Sen jälkeen se on palvellut kesäasuntokäytössä ja ollut viimeiset viitisentoista vuotta käyttämättömänä. Merkittäviä peruskunnostuksia eräitä rajattuja sisäremontteja lukuun ottamatta ei ole tehty 1960-luvun alun jälkeen. Tontilla on sähkö ja saunarakennuksen nurkalle tulee kunnallinen vesijohto, mutta rakennuksissa ei ole juoksevaa vettä, viemäröintiä, sisävessaa, eikä toimivaa lämmitysjärjestelmää. Rakennukset ovat teknisesti perusteellista peruskorjausta vaativassa kunnossa. Odotettavissa ovat pitkään asumattomina ja kylminä olleiden vanhojen talojen haitat, vauriot ja viat, joten rakennukset myydään purkukuntoisina. (Mahdolliset purkutyöt ostajan kustannuksella). Pohjoispäädyssä tontti rajautuu asemakaavassa puistoalueeksi merkittyyn, havupuuvaltaiseen metsikköön, jonka takana kulkee kuutostie. Eteläsivulla tontti rajautuu Kaipiaistentiehen. Tontti on asemakaavassa merkitty AP-alueeksi (Asuinpientalojen korttelialue). Tehokkuusluku e = 0,15, eli rakennusoikeutta on runsaasti (1338 m2). Länsisivulla tontti rajautuu Karjalaistien varrella oleviin, rakentamattomiin viiteen AO-tonttiin (Erillispientalojen alue). Itäsivulla tontti rajautuu Raussintiehen. (Ao-tonttien osuus ja pohjoisosan P-merkinnällä osoitettu metsäalue (tila 286-416-2-78, pinta-ala yhteensä 27762 m2) on mahdollista niin ikään haluttaessa ostaa omaksi!)

Kouvolaan on matkaa 26 km, Lappeenrantaan 64 km ja lähikauppaan 300 metriä.

Tässä on vanhoista puutaloista haaveilleelle ja niitä arvostavalle ja ymmärtävälle hieno tilaisuus toteuttaa restaurointi- ja konservointi-intohimot - ja tarpeen tullessa myös mahdolliset uudisrakentamishaaveet mukavassa ympäristössä!

Perustiedot

Kaupunginosa
Kaipiainen
Kohdenumero
17329079
Tonttityyppi
Omakotitalotontti
Tontin pinta-ala
8 920 m²
Pinta-alojen lisätiedot
Tontilla olevien kaikkien rakennusten arvioitu yhteenlaskettu pinta-ala on n. 640 m2
Rannan (vesistön) tyyppi
Ei rantaa
Ajo-ohjeet
Kaipiaistentie on Kaipiaisten kylän läpi kulkeva pääväylä. Kuutostietä on Kouvolaan n. 26 km, Lappeenrantaan n. 64 km.
Palvelut
Ruokakauppaan (Sale) n. 0.3 km. Utti-halli n. 15 km, samoin Utin ABC-asema.Tirvan tanssilava n. 10 km, Väliväylän melontaetappi Kannuskoski n. 14 km. Palvelujen osalta Kaipiainen tukeutuu Kouvolan keskustan palveluihin.
Kiinteistötunnus
286-37-7017-1

Hinta

Velaton hinta
30 000 €
Myyntihinta
30 000 €
Neliöhinta
3,36 € / m²

Muut maksut

Muut kustannukset
Kiinteistövero koko nk. Venton kiinteistölle oli 669,56 € vuonna 2024 Huom. Myyntihinta ei sisällä kiinteistössä olevaa irtaimistoa, josta sovitaan erikseen.

Talon ja tontin tiedot

Rakennuksen tyyppi
Omakotitalotontti
Kunnallistekniikka
Tontille saunan kulmalle tulee kunnallisesta vesijohdosta kylmä vesi (kantovesi). Viemäriliitosta ei ole. Puucee on "perinteinen". Kiinteistölle on v. 2016 myönnetty määräaikainen vapautus liittymisvelvollisuudesta. Uuden omistajan tulee hakea vapautusta tai liittää kiinteistö vesilaitoksen verkostoon. Rakennuksissa ei ole ollut peruslämpöä, vaan ne ovat olleet kylmillään. Lämmitys on aikoinaan hoidettu uunilämmityksellä, sekä kesähuvilavaiheen käytössä osin myös siirrettävillä sähköpattereilla. Uunit vaativat muurarimestarin tekemän arvion mukaan yhtä uunia lukuunottamatta toimenpiteitä niiden saattamiseksi uudelleen käyttökuntoon. Karjalaistien varrella sijaitsee erillisellä johtoalueen käyttöoikeussopimuksella puistomuuntamo. Pohjoisosan metsän läpi kulkevalla "Vanhalla talvitiellä" kulkee Raussintielle menevä vesijohto.
Kaavoitustiedot
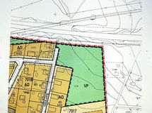
Voimassa oleva asemakaava 20.05.1988.
Harrastusmahdollisuudet
Jalkapallokenttä, Ulkoilureittejä, Kaipiaisten Kajastuksen kenttä n. 1 km. Rautjärven pieni uimaranta n. 1.5 km.
Liikenneyhteydet
Bussipysäkki lähellä, Maksuton pysäköinti, Paljon parkkitilaa, Sujuvat yhteydet omalla autolla, Bussipysäkki lähellä. Paljon parkkitilaa, Sujuvat yhteydet omalla autolla. Historiallinen rautatieasemakin on vieressä, mutta rautateiden lähiliikennepalveluita ei nykyisin enää ole tarjolla paikkakunnalla, tosin ajatuksia yhteyksien uudelleen käynnistämisestä on ollut liikkeellä.
Rakennuksen lisätiedot
Useita vanhoja rakennuksia : kaksi asuinrakennusta, sauna-pesutuparakennus, makasiinirakennus, jonka päädyssä (pääosin sortunut) vaunuvaja, puucee, halkovaja ja maakellari
Rannan (vesistön) tyyppi
Ei rantaa
Rakennusoikeus
8920m2 x 0,15= 1338 m2
Lisätietoa rakennusoikeudesta
Rakennusalueen rajat, kaavamerkinnät ja-määräykset on esitetty voimassaolevassa asemakaavassa.
Rasitteet ja oikeudet
Lainhuuto- ja kiinteistörekisterin mukaan omaisuuteen ei kohdistu rekisteriin merkittäviä rasituksia tai rajoituksia, eikä uusia asioita ole vireillä.
Pihan kuvaus
Talojen edessä oleva pihamaa aukeaa etelään ja on kasvillisuuden suojaama, mutta liittyy kuitenkin katutilaan. Sauna-pesutuvan ja Makasiinirakennuksen väliin jää oma erillinen, suojainen pihamaa. Talojen ympäristö on lehtipuuvaltainen ja tontti on melko pusikoitunut. Tontin pohjoispuolella on havupuuvaltaista metsää. Naapurirakennuksista ei ole näkymiä pihalle.
Pihan ilmansuunnat
Näkymät kaikkiin ilmansuuntiin. Piha aukeaa etelään ja on suojaisa.
Maasto
Salpausselän harjun kuivaa kangasmetsää. 100 metrin käyrä kulkee Venton kiinteistön läpi. Pihan alue on tasaista, tonttia rajaava metsäosuus on Kuutostielle laskeva loiva rinne.
Vesistö
Lähin vesistö Rautjärvi Kuutostien pohjoispuolella n. 3 kilometrin päässä. Järven rannassa on pieni uimaranta.
Tontin kuvaus
Monien mahdollisuuksien avaralla ja valoisalla tontilla on isollekin perheelle riittävästi tilaa liikkua, hengittää, harrastaa, rakentaa ja puuhailla. Oma rauha, kuitenkin kylän keskustan liepeillä.
Tontin omistus
Oma