107 000 €612 m²

Kierretie 26b as 2, Vapaala, Vantaa

Myyntihinta
107 000 €
Tontin pinta-ala
612 m²
Kaupunginosa
Vapaala
Kaupunki
Vantaa

Valmiit suunnitelmat 1-tasoiselle talolle

Matala kynnys rakennusprojektille, kun suunnitelmat ja rakennuslupa ostajalle jo osittain valmiina.

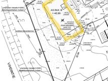
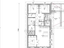
Koko tontille on voimassa oleva rakennuslupa 1 paritalolle. Paritalo jaetaan erillisellä katoksella ääni ja ulkonäköteknisistä syistä. Tontilla oleva "toinen autokatoksella kytkettävä" talo on jo valmis. Kyseessä oleva B-talo on rakennusluvan mukaan 4h+k huoneistoalaltaan 95 m². Myytävä määräosa 612 m², jaetaan 1200 m² tontista (26B) hallinnanjakosopimuksella molempien käyttöön, sekä autotielle perustetaan rasite.

Valmiiksi maksetut liittymät; kunnallistekniikka- ja sähköliittymät. Lisäksi asennettu hulevesien viivytysputkisto, joka purkaa rakennuspaikalta sadevedet ojaan.

Suunnitelmat on Jukka-talolle, mutta ostaja voi halutessaan kilpailuttaa omat suunnitelmansa talovalmistajien kanssa.

Myös vaihto As Oy -osakkeeseen (asuntoon) mahdollinen, tarjoa!

Esittelyt ja lisätiedot; Tuula Piiroinen Kiinteistönvälittäjä LKV Strand Properties Brand Partner 040 680 7716 - tuula@strand.fi Tuula Piiroinen LKV Oy | 3463551-4

Perustiedot

Kaupunginosa
Vapaala
Kohdenumero
21525138
Tonttityyppi
Omakotitalotontti
Tontin pinta-ala
612 m²
Pinta-alojen lisätiedot
Lisätietoa vapautumisesta
heti
Palvelut
Palvelut: Lidl Vapaala, Alepa Pähkinärinne, K-Supermarket Hämeenkylä sekä Alko. Varistossa ja Petikossa paljon palveluita mm. Tokmanni, kuntosali, kalustemyymälöitä. Koulut: Rajatorpan koulu, Hämeenkylän koulu. Päiväkoti: Autioniityn päiväkoti, päiväkoti Leijonanmieli, Karhunpesän päiväkoti, Nikkarin päiväkoti, Vapaalan päiväkoti.
Lisätiedot
Sähköliittymä.
Kohde on
Kiinteistö
Kiinteistötunnus
92-13-11-30

Hinta

Myyntihinta
107 000 €
Kiinnitykset
0

Talon ja tontin tiedot

Rakennuksen tyyppi
Omakotitalotontti
Kaavoitustiedot
Kaavan mukainen käyttötarkoitus : A26 Asuntorakennusten korttelialue. Lentomelualue, lentomeluvyöhyke 3 Lden 50-55 dB.
Kaavatilanne
Asemakaava
Liikenneyhteydet
Bussit ja juna-asema n. 2,4 km Myyrmäen asema.
Tontin omistus
Oma