2 610 m²

Kirkonkyläntie 37, Malmi, Helsinki

Tontin pinta-ala
2 610 m²
Kaupunginosa
Malmi
Kaupunki
Helsinki

Myydään kiinteistökehitystontti asuinrakentamiseen Helsingin Malmilla!

Todella hyvällä paikalla tontti, jonka kaavamuutos asuinkäyttöön on käynnistetty (myydään niin, että kaavamuutos on lainvoimainen). Ostaja pääsee vielä tarvittaessa vaikuttamaan kaavan yksityiskohtiin. Tontti täyttää Helsingin kaupungin AM-ohjelman kriteerit.

Kaupan kohteena on kiinteistöyhtiön (Y-tunnus 2660881–5) osakekanta, mikä myydään velattomana.

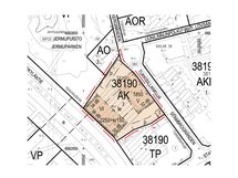
Tontin pinta-ala on 2610 m² ja asuinrakennusoikeus tontille on 4680 m² (Bruttokerrosalaa). Tontin yksi reuna rajoittuu viereiseen Jermupuistoon ja yksi Kirkonkyläntielle ja muut kaksi viereisiin tontteihin. Tontilla on purettava vanha kivirakenteinen liiketalo, minkä purkukuluista vastaa ostaja. Lisäksi kaavoitusmaksusta vastaa ostaja, joka on arviolta noin 680’000 €. PIMA-tutkimus on tehty ja tontti on puhdas.

Kohde myydään tarjousten perusteella (myyjällä on oikeus hyväksyä/hylätä saadut tarjoukset). Ilmoituksessa olevat kuvat ovat julkisia havainnekuvia.

Hyvällä sijainnilla ja lähellä Malmin palveluja. Kohteen läheisyyteen Kirkonkyläntielle on lisäksi linjattu Helsingin yleiskaavassa pikaraitiotie Raide-Jokeri 2. Lisäksi Viikin-Malmin pikaraitiotien päätepysäkki tulisi mahdollisesti sijoittumaan kohteen eteläpuolelle Malmin sairaalan kohdalle. Kilometrin päässä on Malmin Prisma ja juna-asema sekä Kehä I liittymään kaksi kilometriä.

Katso kaavamuutoksesta lisää: https://www.hel.fi/hel2/ksv/liitteet/2022_kaava/ak12819_selostus.pdf

Hyvällä sijainnilla ja sujuvien liikenneyhteyksien päässä kiinteistökehitystontti myynnissä!

Kohdetiedot

Sijainti Katuosoite: Kirkonkyläntie 37, 00700 Helsinki Kaupunginosa: Malmi

Tontti Kiinteistötunnus: 91-38-190-2 Pinta-ala: 2’610 m² Rakennusoikeus: 4680 m² (Bruttokerrosalaa)

Myyntihinta Myyntihinta: Tarjousten perusteella

Perustiedot

Kaupunginosa
Malmi
Kohdenumero
24292322
Tonttityyppi
Muu tontti
Tontin pinta-ala
2 610 m²
Pinta-alojen lisätiedot
Myyntihinta: Tarjousten perusteella

Hinta

Velaton hinta

Talon ja tontin tiedot

Rakennuksen tyyppi
Muu tontti
Lisätietoa rakennusoikeudesta
Kiinteistötunnus: 91-38-190-2 Pinta-ala: 2’610 m² Rakennusoikeus: 4680 m² (Bruttokerrosalaa)