46 200 €884 m²

Virtakoskenkuja 3, Voivala, Kaarina

Myyntihinta
46 200 €
Tontin pinta-ala
884 m²
Kaupunginosa
Voivala
Kaupunki
Kaarina

Omakotitalotontti Hulkkiossa *Osuus yhteiseen vesialueeseen

Omakotitalotontti Hulkkiossa. Kiinteistöllä on osuus yhteiseen vesialueeseen. Ostaja pääsee rakentamaan heti.

Osoite: Virtakoskenkuja 3 Kaarina. Rakennusoikeus 176,8m2, tontin koko 884m2 (tehokkuusluku 0,2).

Kaarinan palvelut ovat lähellä. Alueella myös päiväkoteja, kouluja urheilumahdollisuuksia. Voivalan ranta on lähellä, siellä vuokrattavia venepaikkoja, puisto ja uimaranta.

Ostaja vastaa sähkö- ja vesiliittymistä (nämä on jo selvitetty valmiiksi ja kustannukset selvillä, Kunnallistekniikkamaksu (vesi- ja viemäriliittymästä) on 33,60€/k-m2). Putket ovat tontin rajalla. Valokuitu on saatavilla (Lounea).

Ostaja maksaa varainsiirtoveron 3% velattomasta hinnasta.

Tervetuloa tutustumaan tonttiin ja rakentamaan oma talo.

Tontti terveisin,

Stefan Virtanen Kiinteistönvälittäjä | LKV | KTM | Yrittäjä stefan@stevilkv.com | 0400 999 900 www.stevilkv.com

Perustiedot

Kaupunginosa
Voivala
Kohdenumero
80443773
Tonttityyppi
Omakotitalotontti
Tontin pinta-ala
884 m²
Lisätietoa vapautumisesta
Heti.
Rannan omistus
Oikeus vesialueisiin
Vuokrattu
Ei
Palvelut
Palvelut: Alueen palvelut
Paikallistiedot: Kaarinan keskusta lähellä, hyvä yhteys Turkuun ja Helsingin suuntaan
Kohde on
Kiinteistö
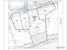
Kiinteistötunnus
202-6-6520-4
Postitoimipaikka
Kaarina

Hinta

Myyntihinta
46 200 €

Muut maksut

Muut kustannukset
Lisätietoja maksuista: Kiinteistövero. Ostaja maksaa varainsiirtoveron 3% velattomasta hinnasta. Ostaja vastaa lainhuudon kustannuksista (161e) ja kaupanvahvistus puoliksi eli 69e

Talon ja tontin tiedot

Rakennuksen tyyppi
Omakotitalotontti
Kaavoitustiedot
Kaarinan kaupunki, kaavoitus
Kaavatilanne
Asemakaava
Liikenneyhteydet
Bussipysäkki lähellä ja hyvä kulkuyhteys
Rakennusoikeus
176,80 m²
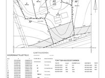
Rasitteet ja oikeudet
Kts. Karttakuva, Kiinteistörekisteriote & Rasitustodistus.
Tontin omistus
Oma